PA13/01136/PREAPP Grist Lane June 2013 | Planning Proposal
Hayle Town Council have been approached about a planning application for Grist Lane.
If anyone has any comments on these plans (please note this is a preapplication proposal) they are invited to contact
Brian Capper
Sweetlarks, 25 Riverside, Angarrack, Hayle, TR27 5JD
01736 753838
Mobile: 07753 814999
brian.capper@hayletowncouncil.net
or
Hayle Town Council Clerk Eleanor Giggal
Hayle Community Centre, 58 Queensway, Hayle, TR27 4NX
Town Mayor: Jayne Ninnes • Town Clerk: Eleanor Giggal
Tel/Fax: 01736-755005 • Email: townclerk@hayletowncouncil.net
From: Edel <Info@adaarchitects.org.uk>
Date: 25 June 2013 13:01
Subject: RE: Grist Lane Hayle
To: Hayle Town Clerk <townclerk@hayletowncouncil.net>Dear Ms Giggal,
Further to our telephone conversation please find attached details of our proposals.
We are appointed by the owner of the area of land on the west of Angarrack, between Grist Lane to the north and Hatch’s Hill to the south. The church on Grist Lane abuts this land.
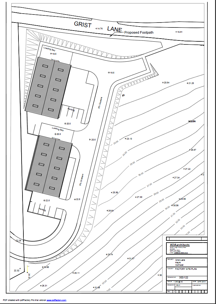
We are retained to consider a modest extension of the Marsh Lane Industrial Estate into the land, to provide two 350sqm commercial buildings. I attach our drawing showing this proposal , which you will note allows for the buildings to be set down into the land and screened by embankments.
The second part of the proposal is to provide 3 dwellings to the east of the land adjacent to, and incorporating, the existing dwelling at 5 Grist Lane and the approved dwellings 09/1364P, using a common access road and entrance next to the Church, all as shown on the attached drawing. The land between the two parts will remain as open space. The height of the proposed dwellings will be below the roof level of Chyryn on Hatch’s Hill and will not be visible from Hatch’s Hill or from the village, which is achieved by reducing the site levels to within 1.0m of the site and at 5 Grist Lane. The existing steep narrow drive to 5 Grist Lane will become a pedestrian link and to from the village.
As part of the development it is proposed to provide and safe, illuminated highway footpath from the church to the retail park and in addition to provide car parking for the church. This will serve to enhance the sustainability of Angarrack itself and I hope will accord with the needs of the village.
I look forward to your reply.

Click on the thumbnails below to see larger pictures
![]() |
![]() |
![]() |
![]() |

- Printer-friendly version
- Login or register to post comments
- Permalink
Contributions
- Angarrack Defibrillator Team (25)
- Angarrack Inn (336)
- Angarrack Methodist Chapel (3)
- Carol (15)
- Gail (1)
- GordonG (12)
- Hayle Development Group on Facebook (5)
- Hayle Harbour Authority (4)
- Hayle Town Council (5)
- louise (1)
- Lynne (111)
- Mal (1)
- MattBuckley66 (9)
- Neil (22)
- Neils Garden Care (9)
- Russell (21)
- Secretary - Christmas Lights (141)
- Steve (3)
- webmaster (5122)
Book page
tags in
Similar
- PA16/06298 | Proposed single dwelling in accordance with previous approvals PA13/00608 and W1/09-1364 - Land Adj To 5 Grist Lane
- Refused: PA13/06605 | Erection of 2 industrial units | Grist Lane Hayle TR27 5HZ | Planning Application
- PA16/06298 | Erection of a dwelling | Land Adj To 5 Grist Lane Angarrack Hayle Cornwall TR27 5HZ
- Approved with conditions | PA16/06814 | Rebuild existing store with bedroom extension over - 8 Riverside Mews Angarrack TR27 5JD
- PA16/06814 | Rebuild existing store with bedroom extension over - 8 Riverside Mews Angarrack TR27 5JD
Similar across site
- PA16/06298 | Proposed single dwelling in accordance with previous approvals PA13/00608 and W1/09-1364 - Land Adj To 5 Grist Lane
- Refused: PA13/06605 | Erection of 2 industrial units | Grist Lane Hayle TR27 5HZ | Planning Application
- PA13/01136/PREAPP Grist Lane June 2013 | Planning Proposal
- PA16/06298 | Erection of a dwelling | Land Adj To 5 Grist Lane Angarrack Hayle Cornwall TR27 5HZ
- Approved with conditions | PA16/06814 | Rebuild existing store with bedroom extension over - 8 Riverside Mews Angarrack TR27 5JD








Decision letter 29/05/2013 | PA13/01136/PREAPP
Via http://planning.cornwall.gov.uk:8181/rpp/showimage.asp?j=PA13/01136/PREA...
PA13/01136/PREAPP Status: Closed - advice given
Heard that there was to be a
Heard that there was to be a presentation to the village in the Community Centre Fri Sep 13
Also heard that the developers have 'backed off' so not sure now whether presentation/meeting happening or not....
There doesn't seem to be any mention of it in the last minutes on the council website http://www.hayletowncouncil.net/currentam.htm which are - currently - 4 July 2013, Minutes of Full Council
PA13/01136/PREAPP
For more information see Cornwall Council Planning portal search for PA13/01136/PREAPP
Planning Applications (1)
Planning Appeals (0)
Planning Enforcements (0)
Properties (1)
http://planning.cornwall.gov.uk:8181/rpp/index.asp?caseref=PA13/01136/PR...